
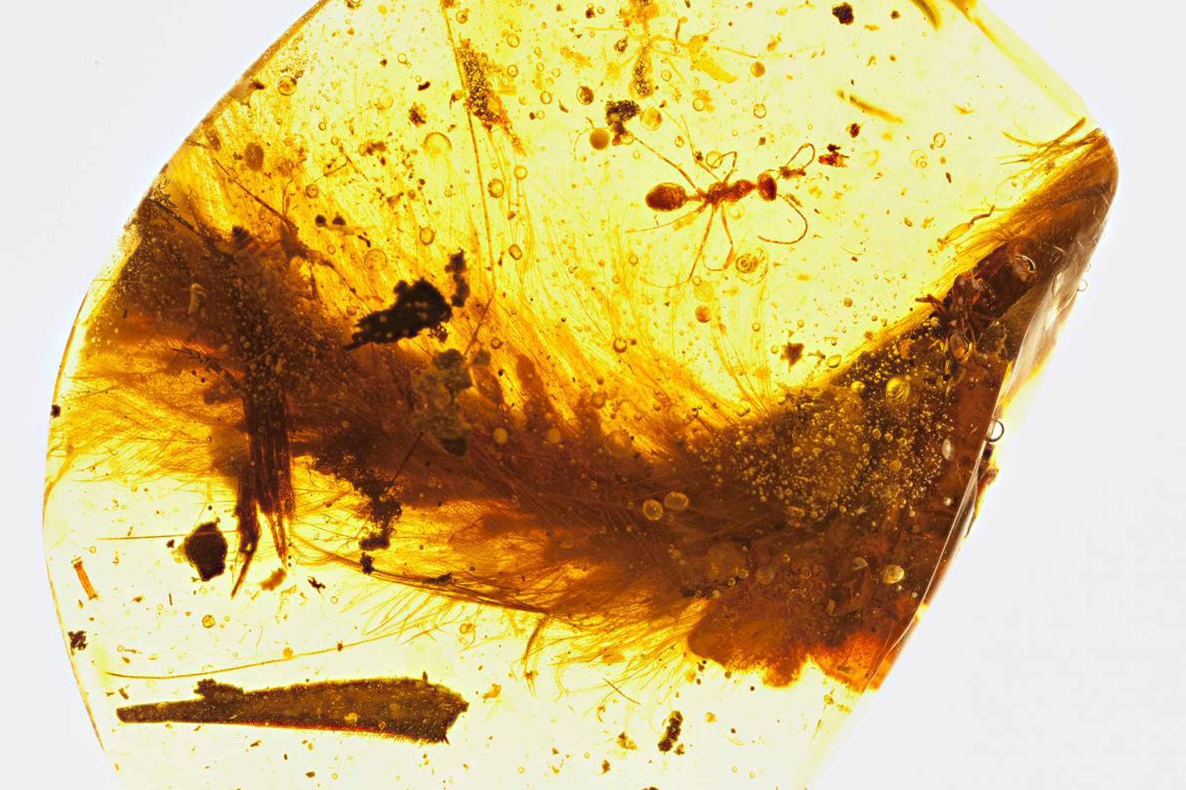
A segment from the feathered tail of a dinosaur that lived 99 million years ago is preserved in amber. A Cretaceous-era ant and plant debris were also trapped in the resin. PHOTOGRAPH BY R.C. MCKELLAR, ROYAL SASKATCHEWAN MUSEUM source
Amber
Michael Dickel
I am lost, awash in honey-light and stopped-time—
hardened, a fossil that once lived before tasting
sugary sap, becoming caught as it turned to stone.
Sunlight trapped millions of years ago has turned cold—
my desires mineralized with sublimation, my body a frozen
footprint sold at market, worn on a chain around a neck.
These words stick in their own sweet clock, less real than paint—
colorless, caught in a mind that believes itself full of pigment,
while truth remains a slippery canvas brushed from memory.

PHOTOGRAPH BY ROYAL SASKATCHEWAN MUSEUM source

Drawing by Judith Appleton, used with permission, all rights reserved.
(The opening of her show at the Baaka Natural History Museum occasioned this poem.)
Categories: Art, Photography, Poetry




At once simple and complex. Well done, Michael.
LikeLiked by 1 person
Wonderful. Much enjoyed.
LikeLiked by 1 person
Thank you, Jonathan!
LikeLike